住宅医の改修事例№162 築36年 空家改修 ~里山の設計事務所・喫茶・庭~+
奥野 崇(住宅医 / 株式会社 奥野崇建築設計事務所 / 愛媛県)

Copyright © okuno takashi 奥野崇建築設計事務所 上写真:改修後の喫茶・ギャラリー、下:改修後の庭
ストーリー
住宅医の奥野崇さんは空家となっていた建物を詳細調査の上、購入され、地域に開かれた事務所と喫茶ギャラリーを実現されました。
予算面で高い性能にする事が出来ない箇所も「実際に体感し提案に生かす」とのお考えで、必要な性能を検討の上、コストを抑えた耐震補強や温熱改修などが行われました。奥野さん自ら、庭の土中環境を改善し残土や廃材も活用されるなど、環境についても真摯な取組みが行われています。歩き遍路道沿いに開かれた庭は、地域の方に「気持ちいいね」と評判です。里山の美しい風景に佇む改修後の写真と文章に明るい未来を感じます。ぜひ最後迄ご覧ください。(住宅医協会 編集部)
右写真:改修後の喫茶 穀雨■下:改修前敷地の様子
![]() お遍路さん道中(西側道路) |
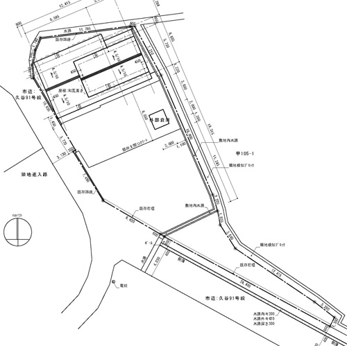
配置図(既存) |
建物と敷地(建物南面と庭) |
既存建物詳細調査
【 外部 】
建物詳細調査は2021年、修得前に主要構造部の外観目視の後、取得から着工迄の間に数回にわけて行った。
建物は当時 築36年(1986年竣工)大きな改修履歴は無く、残存図面なし。
道路側のCB塀は遍路道に対して閉鎖感がある。
![]() 西面の外壁劣化(紫外線、風や雨) |
![]() 屋根瓦ズレなし大きな補修なし、庇塗装の剥がれあり |
![]() 基礎は無筋 西面にクラック |
![]() 基礎 南面の水しみ跡 |
【 内部と設備 】
道路を挟んだ北側に山林があり、建物内部は湿気がある(空き家になってから約半年で隔週程度風通しが行われていた)。窓は全てアルミサッシ単板ガラス。既存建物のUA値は3.07W/㎡K。
![]() 1階台所 |
![]() 1階和室 |
![]() 外部の設備は相応の劣化 |
![]() 在来の浴室は高基礎 |
【 小屋裏・床下 】
小屋裏は雨漏りの痕跡や腐朽は無い。柱頭柱脚の金物はかすがい程度。床下調査は湿潤状態で一帯にカビが確認された。目視箇所からは蟻害や腐食は無い。和室の床下はh300以下、水廻りは床下から点検不可。
小屋裏![]() 小屋裏 蟻害なし、腐朽なし |
床下![]() 床下のカビ |
【 外構・庭 】
庭は粘性土で水はけが悪い。敷地内の水路に破損があり水漏れがある。地下水位は季節変動(田んぼの水はりによる地下水位)が約40cm程上下することが確認できた。
庭の水路![]() 水路の破損 水漏れ有り |
水漏れ![]() 石積から水漏れ有り |
地下水位調査 敷地中央に穴掘りを行い、地下水位の季節変動を調査 |
地下水位調査 水位確認 |
プラン
![]() 平面図 |
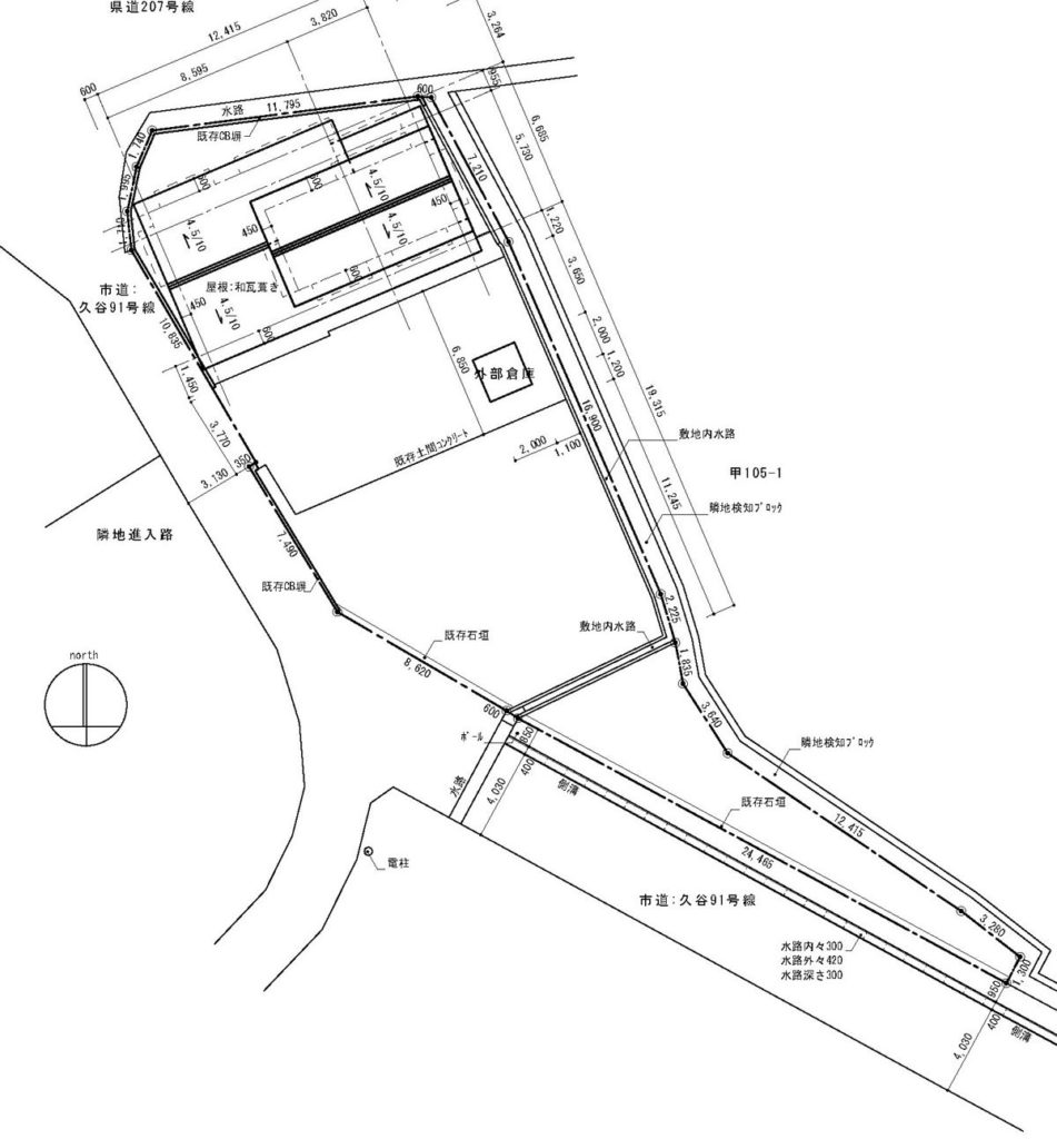
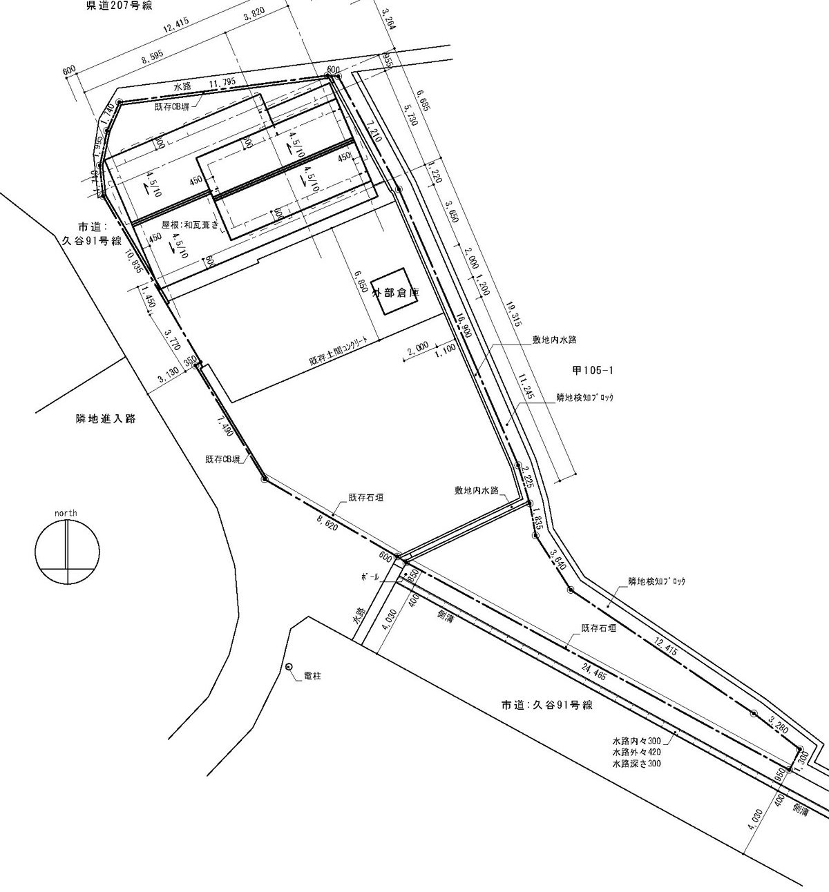
![]() 敷地配置図 |
![]() 〇〇〇〇 |
元は2階建ての専用住宅であった建物を、設計事務所と喫茶の2つの用途で使用するように計画した。玄関や水廻りは共用とし、両方のエリアからアクセスできる。耐震工事は建物全体で行っているが、断熱工事は事務所エリアを重点的に行い、喫茶エリアは一部小屋組をあらわしとしたため無断熱範囲も含む。そのため、両エリアが接する壁部分には内部間の断熱を行った。
建物の性能向上
■耐震性能
耐力壁の配置 土壁(なるべく壊さない) 内部構造用合板12d裏桟なし(減災協)仕様
□□□□□□ 既存建具枠の活用(垂壁をむやみに破壊しない)
接合部の考え方
□□□□□ ・1階は全数
□□□□□ ・2階は内壁の可能な範囲で(2階根太や根太受けあり外周難しい箇所あるため、バランスの悪化により配置低減かかる)
水平構面□□2階の壁ラインの力を外周面に流すイメージで補強
上部構造評点□ 1.00以上へ
耐震施工![]() 内部側での補強 |
施工写真![]() 接合金物の新設 |
![]() 内部側での補強 |
![]() 鋼製火打ち金物追加 |
上部構造評点 一般診断法による上部構造評点Iw 改修前0.50 → 改修後1.01改修前Iw(0.50~0.92)※1階床面積 79.35㎡ 改修後Iw(1.01~1.11)※1階床面積 94.40㎡(増築した土庇部分も見込んで検討した) |
■断熱性能
既存建物は、天井・外壁・床・基礎すべて無断熱
仕様(改修後)
屋根断熱:無断熱(既存小屋組みあらわし)1階喫茶のみ
天井断熱:高性能グラスウール16K 100d(袋入)
壁断熱1:構造面材の上押出法ポリスチレンフォーム3種b30d(内付加)
壁断熱2:構造面材の上ロックウール100d(内付加)北東面
→北側の県道ダンプ音対策として
床断熱:上押出法ポリスチレンフォーム3種b50d(剛床充填)床組更新
基礎断熱:無断熱のまま
断熱材施工![]() 床下防湿シート敷き、床断熱 |
断熱材施工![]() 壁断熱2(低音域の音対策) |
![]() 壁断熱1 |
![]() 天井断熱 |
■省エネルギー性
愛媛県松山市は蒸暑地(7地域)です。暖冷房エアコンは高効率を採用。給湯器はエコジョーズに取替えワンハンドル水洗、節水型トイレを採用しました。照明は全てLEDに取替ました。
UA値(外皮平均熱貫流率)の変動:3.07W/㎡K → 改修後1.26W/㎡K(省エネ基準≤0.87W/㎡K)
ηAC値(冷房期の平均日射熱取得率):7.7W/㎡K → 改修後3.7W/㎡K (省エネ基準≤2.7W/㎡K)
一次エネルギー削減
一次エネルギー消費量 合計88,171MJ → 改修後68,112MJ (基準値73,852MJ)
暖房26,803MJ → 改修後12,946MJ (基準値8,549MJ)
■耐久性
●:屋根:瓦そのまま 庇:塗装●:外壁:西面・南面貼替 その他は保護塗装 基礎のモルタルもコンクリートステイン塗装 ●:既存アルミテラス材撤去の上、ガルバ波板の土庇を新設 ●:既存アルミサッシ+単板ガラス → 木製ペアガラスなどへ交換 ●:既存アルミサッシを塞いだところを示す |
外壁(南面) |
外壁材貼替 |
外壁(南西面) |
敷地と庭
敷地西側の歩き遍路道沿いのコンクリートブロック塀は閉鎖的な印象を持たせるため、全て撤去した。植栽は可能な限り周辺に自生する樹種や山野草も用いるように計画し、そのほとんどを自分たちで植え付けた。また、湿りがちな土質を改善するために、透水管の設置や既存石材を活用して破損水路の整備などを行った。敷地内の土をむやみに廃棄せず、周辺で調達できる有機物などを用い土中環境を向上させられるように工夫を込めた。
外構工事![]() 透水管の設置 |
庭・外構工事![]() 通気管の設置 |
![]() 明渠+通気管と埋設透水管の接続 |
![]() 既存石材を転用して、水路の整備 |
植栽![]() 土壌改良 |
植栽 植栽 |
植栽 ウッドチップ撒き |
木道![]() |
木道![]() |
木道![]() |
改修前後レーダーチャート
![]() 改修前 |
![]() 改修後 |
環境 × 地域
環境を考える
ゴミの排出を削減し土にかえす。雨水タンクを利用する。土庇で自然を心地よくコントロールする。庭には地域の樹種や山野草を植えました。

写真左から、キエーロの利用 土庇の新設 雑木と山野草 水路整備
月に一度開店する喫茶を通じて、里山や地域の豊かさを伝える
地域の方々の協力も得ながら、月に一度喫茶の活動を始めました。市内の方々はもちろん、お遍路さんにも里山やこの地域の豊かさを伝える場所になればなと思っています。
写真
■
■
■
■
最後に
松山市内から里山へ事務所を移して、はや3年。新築だけでなく、既存ストックを活用したリノベーションも今後当たり前の選択肢としていきたい、とまずは私たち自身で実践を行ってきました。改修の現場では理想と現実の間で判断を求められます。各分野の先生を招いた住宅医での学習を通じて、耐震や断熱、劣化や蟻害など総合的な視点の獲得と、最も良い対応とよくない対応との間にはグラデーションがある、ということを知ることができました。建築や住宅・暮らしに関わる身として、過去や今を嘆くだけではなく、少しでも明るい未来を描けるように、日々の活動を大切にしていければと思っています。
奥野 崇
Copyright © okuno takashi , jutakui
No.0162 築36年 空家改修 ~里山の設計事務所・喫茶・庭~
LINK
・ 株式会社 奥野崇建築設計事務所 http://okunotakashi.jp/
・ 喫茶 穀雨 https://okunotakashi.jp/kokuu_kissa
・ kokuu_kissa (instagram) 月に一度だけ開店する予約制の小さな喫茶







































































